
Siêu bão số 3 Yagi giật trên cấp 17, tăng tốc, cách Quảng Ninh 570km
Siêu bão số 3 Yagi giật trên cấp 17, di chuyển theo hướng Tây với tốc độ đến 20km/h, đang cách Quảng Ninh khoảng 570km.

Siêu bão số 3 Yagi giật trên cấp 17, di chuyển theo hướng Tây với tốc độ đến 20km/h, đang cách Quảng Ninh khoảng 570km.

Siêu bão số 3 Yagi đang di chuyển nhanh, với cường độ rất mạnh về phía Vịnh Bắc Bộ.

Trước dự báo về mức độ nguy hiểm và ảnh hưởng của siêu bão Yagi, nhiều công ty đã thông báo cho nhân viên làm việc online vào thứ 7, thời gian bão dự kiến sẽ đổ bộ.

Tin tức mới nhất siêu bão số 3- siêu bão Yagi, dự báo hôm nay siêu bão sẽ đổ bộ vào vịnh Bắc Bộ. Hiện siêu bão di chuyển nhanh với tốc độ 20km, giật trên cấp 17.

Dự kiến, đến 16h ngày 7/9, tâm siêu bão Yagi trên đất liền sẽ từ Quảng Ninh đến Nam Định, cường độ bão mạnh cấp 10-11, giật cấp 14, mỗi giờ đi được 20km.

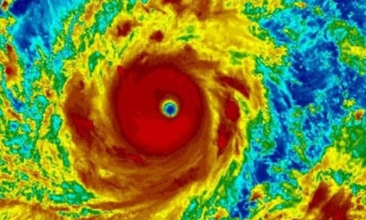
Siêu bão Yagi có sức gió mạnh nhất duy trì ở mức 205 km/giờ gần tâm bão. Bão Yagi đang di chuyển về phía đảo Hải Nam - Trung Quốc và Việt Nam.

Siêu bão Yagi rất mạnh, có sức gió mạnh nhất vùng gần tâm bão mạnh cấp 16 (184-201km/h), giật trên cấp 17.

Bão số 3 vừa mạnh lên cấp 16, trở thành siêu bão Yagi. Đây là siêu bão đầu tiên trong năm 2024. Hiện siêu bão Yagi đang giật trên cấp 17, mỗi giờ đi được khoảng 10km

Bão số 3 đang mạnh cấp 15, giật trên cấp 17 hoành hành trên Biển Đông. Dự báo cơn bão số 3 sẽ tiếp tục mạnh lên và có khả năng thành siêu bão.

Bão số 3, giật cấp 17 đang "hoành hành" trên biển Đông, cách đảo Hải Nam (Trung Quốc) khoảng 520km. Dự báo bão số 3 tiếp tục mạnh lên.

Bộ trưởng NN-PTNT đã ban hành công điện, yêu cầu mở thêm cửa xả tại 2 hồ thủy điện lớn ở miền Bắc là Hòa Bình và Tuyên Quang để ứng phó với bão số 3.

Giám đốc Trung tâm Dự báo Khí tượng Thủy văn Quốc gia cho hay, sau khi bão số 3 - bão Yagi vào Biển Đông đã tăng 4 cấp và sẽ mạnh thêm.

Bão số 3 đang di chuyển nhanh, tiếp tục tăng cường độ hướng vào vịnh Bắc Bộ. Sức gió gần tâm bão mạnh cấp 12, giật cấp 15.

Bộ trưởng Bộ GD&ĐT có Công điện gửi Giám đốc Sở GD&ĐT các tỉnh/thành phố phía Bắc từ Nghệ An trở ra về việc chủ động ứng phó bão số 3.

Bão số 3 Yagi có thể mạnh tới cấp 14, giật cấp 17 trong những ngày tới, dự báo sẽ tiến thẳng vào miền Bắc nước ta.

Chuyên gia về biến đổi khí hậu và cảnh báo thiên tai nhận định, bão số 3- bão Yagi có thể mạnh lên cấp siêu bão, đổ bộ vào các tỉnh miền Bắc.

Vào hồi 4h ngày 4/9, vị trí tâm bão ở vào khoảng 18,9 độ Vĩ Bắc; 118,0 độ Kinh Đông, sức gió mạnh nhất vùng gần tâm bão mạnh cấp 11 (103-117km/h), giật cấp 13.

Cơn bão số 3- bão Yagi được dự báo có khả năng đi vào vịnh Bắc Bộ, gây ra mưa lớn trên khu vực Bắc Bộ, nguy cơ sạt lở đất ở khu vực vùng núi.

Cơn bão số 3 đang "tấn công" biển Đông, được nhận định là cơn bão mạnh nhất năm 2024. Bão số 3- bão Yagi có khả năng đổ bộ vào các tỉnh Bắc Bộ.

Tin tức mới nhất cơn bão số 3- bão Yagi, hiện bão số 3 đang quần thảo vùng biển phía Đông, khu vực Bắc Biển Đông.

Bão Yagi vừa đi vào biển Đông, với sức gió mạnh nhất cấp 8, giật cấp 11. Cơn bão số 3 được dự báo di chuyển nhanh và mạnh lên.

Bão Yagi vừa đi vào biển Đông và trở thành cơn bão số 3 trong năm 2024. Nhiều dự báo cho rằng, bão Yagi sẽ mạnh lên cấp siêu bão và di chuyển theo hướng Tây

Dự báo đến 4h ngày 5/9, bão SAOLA (Cơn bão số 3) sẽ di chuyển theo hướng Tây Nam với tốc độ khoảng 5 km/h và suy yếu thành một vùng áp thấp.

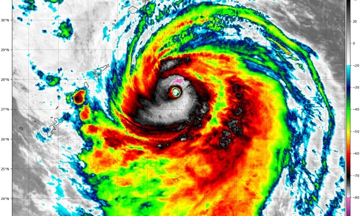
Cơn bão số 3- bão Saola giật cấp siêu bão (giật trên cấp 17), đang ở khu vực Bắc Biển Đông, di chuyển theo hướng Tây Tây Bắc, tốc độ khoảng 10km/h.

4h ngày 31/8, tâm bão cách Hồng Kông (Trung Quốc) khoảng 510km về phía Đông Nam. Sức gió mạnh nhất vùng gần tâm bão mạnh cấp 16 (184-201km/h), giật trên cấp 17.

Bão Saola đã chính thức đi vào vùng biển phía Đông Bắc của Bắc Biển Đông từ chiều nay (30/8) và trở thành cơn bão số 3 trong năm 2023.

Cùng với hoạt động của bão Saola, trên biển cũng đang tồn tại một cơn bão mạnh khác, có tên quốc tế là HAIKUI, bão HAIKU mới hình thành, cường độ mạnh cấp 8.

Do ảnh hưởng của hoàn lưu sau bão số 3, miền Bắc có mưa to, có nơi mưa rất to kèm gió giật mạnh.

Cơn bão số 3 vừa đi vào khu vực phía Tây Nam tỉnh Quảng Đông (Trung Quốc). Do ảnh hưởng của hoàn lưu bão số 3, các tỉnh miền Bắc mưa rất to.

Để chủ động ứng phó với cơn bão số 3, các sở, ban, ngành thành phố và các quận, huyện theo dõi chặt chẽ diễn biến của bão. Khẩn trương rà soát, sẵn sàng thực hiện các phương án, kế hoạch ứng phó với bão.