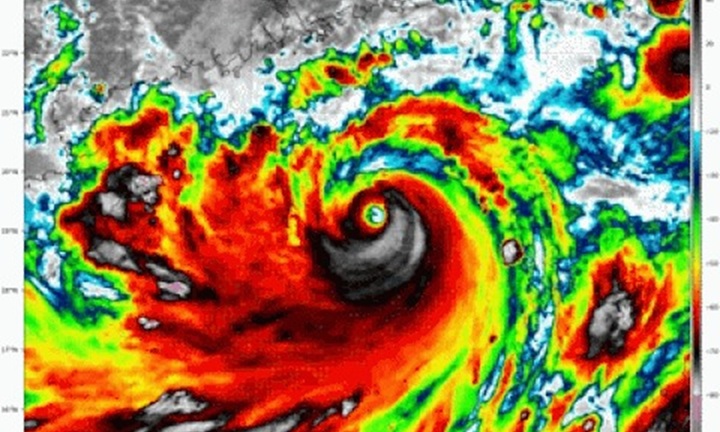
Trung tâm Dự báo khí tượng thuỷ văn quốc gia cho biết, lúc 6h ngày 7/9, vị trí tâm bão số 3 Yagi cách bờ biển Quảng Ninh – Hải Phòng 160km. Sức gió mạnh nhất vùng gần tâm bão mạnh cấp 14 (150-166km/h), giật cấp 17.
Dự báo trong 3 giờ tới, bão di chuyển theo hướng Tây Tây Bắc, tốc độ khoảng 15-20km/h và sắp đổ bộ đất liền nước ta.
Ảnh hưởng của hoàn lưu bão số 3, sáng sớm nay, tại huyện đảo Bạch Long Vĩ (Hải Phòng) gió mạnh cấp 11, giật cấp 13. Theo chia sẻ của ông Nguyễn Công Diễn - Phó Chủ tịch UBND huyện Bạch Long Vĩ, đến thời điểm hiện tại, gió tại khu vực này giật cấp 15-16, trời mưa to.
Ngoài ra, lúc 6h ngày 7/9, tại đảo Cô Tô (Quảng Ninh) quan trắc được gió mạnh cấp 7, giật cấp 12; TP Móng Cái (Quảng Ninh) gió mạnh cấp 6, giật cấp 9.

Vào lúc 6h ngày 7/9, vị trí tâm bão số 3 Yagi cách bờ biển Quảng Ninh – Hải Phòng 160km. Ảnh: NCHMF
VTC News dẫn lời ông Hoàng Phúc Lâm - Phó Giám đốc Trung tâm Dự báo khí tượng thuỷ văn quốc gia cho biết, trong sáng và trưa nay, gió trên khu vực các tỉnh đất liền nước ta tiếp tục mạnh dần lên, mở rộng dần xuống phía Nam của Quảng Ninh, sau đó là các tỉnh Thanh Hoá, Thái Bình, Nam Định.
"Đối với gió mạnh trên đất liền, sau khi gây gió mạnh cấp 6 ở khu vực Quảng Ninh thì trong sáng và trưa nay 7/9, gió tiếp tục mạnh lên và mở ra các khu vực khác ở Đông Bắc Bộ, trong đó có Hà Nội", ông Lâm nói.
Cũng theo ông Lâm, sóng lớn ở khu vực vịnh Bắc Bộ sẽ duy trì liên tục từ giờ đến trưa. Đối với khu vực ven bờ, ông Lâm cũng cảnh báo nước dâng 0,5-2m, đặc biệt khu vực Quảng Ninh nước có thể dâng cao đến 2m, cao điểm nước dâng cũng trong sáng và trưa nay.
Liên quan đến diễn biến mới nhất bão số 3 Yagi, VietNamnet dẫn lời Giám đốc Trung tâm Dự báo Khí tượng Thủy văn Quốc gia Mai Văn Khiêm cho hay, do ảnh hưởng của bão, phía Đông Bắc Bộ và Thanh Hóa, từ đêm 6/9 đến hết đêm 7/9, có mưa to đến rất to với lượng mưa phổ biến 100-300mm, cục bộ có nơi trên 450mm.
Ngày 8/9, khu vực có mưa vừa, có nơi mưa to và giông với lượng mưa 10-30mm, có nơi trên 60mm; riêng khu vực vùng núi có mưa to, có nơi mưa rất to với lượng mưa 30-60mm, cục bộ có nơi trên 150mm.
Vùng mưa to sẽ dịch dần từ Đông sang Tây theo quỹ đạo của bão số 3, trong đó vùng mưa to nhất tập trung ở phía Đông Bắc Bộ và xảy ra trong ngày và đêm 7/9; phía Tây Bắc Bộ mưa tập trung từ tối 7/9 đến ngày 8/9, với lượng mưa phổ biến 100-300mm, cục bộ có nơi trên 450mm.
Với diễn biến như vậy thì vùng biển ven bờ và đất liền Quảng Ninh, Hải Phòng sẽ có cấp độ rủi ro thiên tai cấp 4; khu vực Vịnh Bắc Bộ, vùng biển ven bờ và đất liền các tỉnh Thái Bình, Nam Định, Ninh Bình và Thanh Hoá cấp độ rủi ro thiên tai cấp 3.

Quảng Ninh bắt đầu mưa lớn do bão số 3. Ảnh: Dân trí
Ông Khiêm đặc biệt lưu ý, hiện tượng mưa giông trước bão do bão số 3 có hoàn lưu rộng, trước khi bão đổ bộ, sẽ có tác động hình thành mây đối lưu vành ngoài hoàn lưu bão gây mưa giông. Trong mưa giông xuất hiện gió mạnh ngang cấp độ gió trong các cơn bão, rất nguy hiểm.
Người dân cần hết sức đề phòng, hạn chế không ra ngoài đường trong khoảng từ sáng đến chiều tối 7/9. Trường hợp bắt buộc phải ra, khi có mưa to gió lớn cần tìm nơi tránh trú an toàn.










