
Hai người mất tích ở Đà Nẵng được tìm thấy ở đâu?
Hai nạn nhân mất tích trên địa bàn xã Thạnh Bình và Khâm Đức (TP.Đà Nẵng) đã được lực lượng chức năng tìm thấy. Địa phương đang hỗ trợ gia đình nạn nhân an táng.

Hai nạn nhân mất tích trên địa bàn xã Thạnh Bình và Khâm Đức (TP.Đà Nẵng) đã được lực lượng chức năng tìm thấy. Địa phương đang hỗ trợ gia đình nạn nhân an táng.

Trong 2 ngày, trên địa bàn xã Măng Bút và Măng Ri (tỉnh Quảng Ngãi) xảy ra 6 vụ động đất.

Theo TS. Trần Công Phàn, tư vấn pháp luật cho người từng chấp hành án không chỉ là hoạt động hỗ trợ pháp lý, mà còn là "cầu nối" giúp họ trở lại cuộc sống, tái hòa nhập với cộng đồng một cách lành mạnh, tự tin.

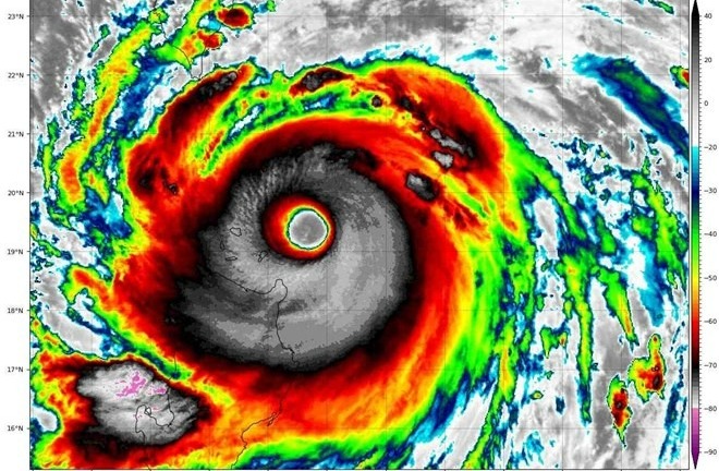
Vào 8h sáng 22/9, ảnh vệ tinh cho thấy "con mắt khổng lồ" đường kính hơn 70km của siêu bão Ragasa.

Vụ cháy bùng phát trong đêm từ tiệm tạp hóa rồi lan sang một chi nhánh ngân hàng và tiếp tục lan sang một tiệm đồ sắt bên cạnh.

Ngày 19/9, Đoàn TNCS Hồ Chí Minh Cơ quan Hội Luật gia Việt Nam đã long trọng tổ chức Đại hội lần thứ VIII, nhiệm kỳ 2025-2030.

Sáng 18/9, cơ quan chức năng tỉnh Đắk Lắk đang điều tra vụ việc tài xế xe tải sau khi gây tai nạn khiến 2 người thương vong đã rời khỏi hiện trường.

Nguyên Bộ trưởng Bộ Nông nghiệp và Phát triển nông thôn (nay là Bộ Nông nghiệp và Môi trường) Lê Huy Ngọ đã qua đời, hưởng thọ 88 tuổi.

Bộ trưởng Bộ Tài chính Nguyễn Văn Thắng được phân công kiêm giữ chức Chủ tịch Hội đồng quản lý bảo hiểm xã hội.

Trong số 13.920 phạm nhân được đặc xá năm 2025 lần 2, không có phạm nhân nào liên quan các vụ án Ban Chỉ đạo Trung ương phòng chống tham nhũng, lãng phí, tiêu cực

Ngày 27/8, cơ quan chức năng phường Xuân Hương - Đà Lạt (tỉnh Lâm Đồng) đang làm rõ vụ cháy cầu Chữ Y, nằm trên danh thắng quốc gia hồ Xuân Hương.

Gió mạnh làm cây cổ thụ ở nút Trần Phú - Chu Văn An (phường Ba Đình, Hà Nội) bị bật gốc đè trúng 2 ôtô đang lưu thông trên đường vào sáng 26/8.

Công an TP.Hà Nội đã thông báo phương án phân luồng giao thông phục vụ các hoạt động Lễ kỷ niệm 80 năm Cách mạng Tháng Tám và Quốc khánh 2/9.

Bé trai 3 tuổi đang chơi trước nhà thì đi lạc vào rẫy cà phê cách nhà 2km. Khoảnh khắc tìm thấy con trai, người mẹ òa khóc nức nở vì vui mừng.

Con rùa nặng 12 kg, thuộc loài Vích trong Sách đỏ Việt Nam và thế giới được thả về vùng biển Hòn Cau (xã Liên Hương, tỉnh Lâm Đồng) trong sáng 12/8.

Thi thể người đàn ông được phát hiện nổi trên sông An Cựu (phường Thuận Hoá, TP.Huế). Nạn nhân cao khoảng 1,68m, mặc quần jean màu xanh...

Bé trai bị vùi trong hố cát sâu hơn 1m ở đặc khu Côn Đảo khi chơi cùng nhóm bạn. Tài xế Lê Văn Tí Hon và du khách hợp sức ứng cứu bé.

Ông Hoàng Nam Tiến từng gây chú ý với những phát ngôn thú vị, thể hiện các góc nhìn mới mẻ, đáng suy ngẫm, đặc biệt liên quan tới thế hệ trẻ.

Thi thể đang phân hủy mặc quần jean, áo khoác. Bên cạnh có một ba lô màu đen chứa thuốc, cáp sạc và một số vật dụng cá nhân khác. Không phát hiện được giấy tờ tùy thân.

Nam thanh niên lái xe máy thả hai tay, xem điện thoại và xỉa răng lan truyền trên mạng. Phòng CSGT Công an tỉnh Gia Lai đã xác minh, xử lý.

Cơ quan chức năng đang làm rõ vụ một người đàn ông tử vong trước cửa hàng tiện lợi ở khu đảo Kim Cương, phường Cát Lái (TP.HCM).

Một cháu bé 13 tuổi mặc áo phao đứng lạc lõng trên bờ biển trong khi người cha đi cùng mất tích bí ẩn.

Lực lượng chức năng tỉnh Lạng Sơn đã tìm thấy thi thể hai người đàn ông bị nước cuốn trôi khi qua ngầm tràn ở xã Khuất Xá, tỉnh Lạng Sơn.

Nhiều khu vực tại xã Mường Xén (tỉnh Nghệ An) và dọc quốc lộ 7 đã bị ngập lụt nghiêm trọng. Nước lũ cuốn trôi nhiều nhà cửa, tài sản của người dân.

Chuyên gia lý giải nhiều thời điểm Hà Nội, Hải Phòng và Quảng Ninh ngớt mưa, trời hửng nắng dù chịu ảnh hưởng bởi bão số 3 Wipha.

Vụ lật cầu treo tại xã Thanh Yên (Điện Biên) khiến 4 người rơi xuống nước, bị thương. Nguyên nhân do cầu đã cũ và ảnh hưởng của mưa kéo dài.

Do ảnh hưởng của bão Wipha, Quảng Ninh đã có mưa to kèm theo sấm sét, gió mạnh; một số khu vực xuất hiện mưa đá.

Tại cuộc họp báo thường kỳ chiều 17/7, Bộ Ngoại giao nêu lý do mời 5 nước tham gia diễu binh tại lễ kỷ niệm Quốc Khánh 2/9.

Tin tức dự báo thời tiết hôm nay 17/7: Tình trạng nắng nóng gay gắt kéo dài ở Trung Bộ.

Hai em học sinh ở xã Trần Văn Thời (tỉnh Cà Mau) đá bóng rồi rủ nhau tắm ao, không may bị đuối nước dẫn đến tử vong thương tâm.