
Bộ GD&ĐT yêu cầu tăng cường ứng phó bão số 9, bão số 10
Ngày 25/9, Bộ Giáo dục và Đào tạo ban hành công điện gửi Giám đốc Sở GD&ĐT các tỉnh, thành phố từ Quảng Ngãi trở ra về việc tăng cường ứng phó Bão số 9, số 10.

Ngày 25/9, Bộ Giáo dục và Đào tạo ban hành công điện gửi Giám đốc Sở GD&ĐT các tỉnh, thành phố từ Quảng Ngãi trở ra về việc tăng cường ứng phó Bão số 9, số 10.

Do ảnh hưởng của bão số 9, ở đặc khu Bạch Long Vĩ đã có gió mạnh cấp 7, giật cấp 8. Sức gió mạnh nhất vùng gần tâm bão mạnh cấp 9 (75-88km/giờ), giật cấp 11.

19h hôm nay (24/9), vị trí tâm bão số 9 Ragasa cách Móng Cái (Quảng Ninh) khoảng 375km về phía Đông, với sức gió mạnh nhất giảm còn cấp 12 (118 - 133km/h), giật cấp 15.

Tại khách sạn Fullerton ở khu vực Aberdeen (Hong Kong, Trung Quốc), sóng lớn đã đánh vỡ cửa kính và gây ngập sảnh chờ.

Hồi 07h ngày 24/9, vị trí tâm bão ở vào khoảng 21,3°N; 113,7°E, cách Móng Cái (Quảng Ninh) khoảng 620km về phía Đông.

Cơn bão mạnh Ragasa đã tiến vào Biển Đông và bắt đầu suy yếu. Khi đổ bộ vào khu vực Đông Bắc Bộ, bão được dự báo sẽ giảm xuống cấp 6, giật cấp 8.

Hồi 19 giờ ngày 23/9, vị trí tâm siêu bão Ragasa- bão số 9 ở vào khoảng 20,8°N; 116,1°E, trên vùng biển phía Đông Bắc của khu vực Bắc Biển Đông.

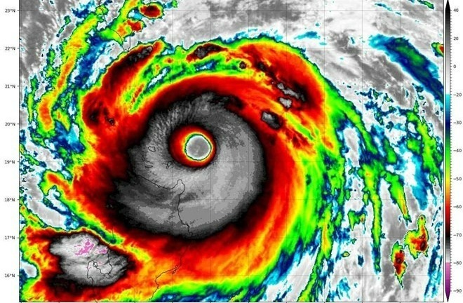
Mắt bão Ragasa bao quanh người dân như một "đấu trường mây", hiện tượng hiếm thấy được nhà sử học khí tượng gọi là "một trong những màn trình diễn đáng kinh ngạc nhất".

Vị trí tâm bão Ragasa vào khoảng 20.3 độ Vĩ Bắc; 117.1 độ Kinh Đông, cách bán đảo Lôi Châu (Trung Quốc) khoảng 730km về phía Đông.

Tỉnh Thái Nguyên giao lãnh đạo các xã, phường tổ chức sơ tán người dân khỏi khu vực nguy hiểm như nhà yếu, vùng có nguy cơ sạt lở đất, lũ ống, lũ quét, ngập sâu.

Chiều tối 22/9, Bộ Nông nghiệp và Phát triển nông thôn đã chủ trì cuộc họp khẩn với các đơn vị liên quan để triển khai công tác ứng phó siêu bão Ragasa (bão số 9).

Hiện tại, bão di chuyển theo hướng tây tây bắc. Tuy nhiên, so sánh với thời điểm sáng nay, siêu bão Ragasa đã di chuyển với tốc độ nhanh hơn, tốc độ khoảng 20 - 25 km/giờ.

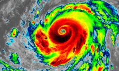
Siêu bão Ragasa, được đánh giá là mạnh nhất thế giới trong năm 2025 với sức gió giật tới 270 km/h, đang áp sát Biển Đông và đe dọa nhiều khu vực.

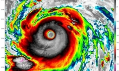
Trước khi bão Ragasa đổ bộ, sóng lớn từ ngoài khơi đã bắt đầu dâng tràn vào vùng trũng thấp ở bờ đông Basco (tỉnh Batanes, Philippines). Hình ảnh từ vệ tinh cho thấy Ragasa có mắt bão rõ nét, nhỏ gọn, các dải mây đối xứng hoàn chỉnh.

Dự báo tối nay, siêu bão Ragasa sẽ vào biển Đông và trở thành cơn bão số 9 năm nay. Cơn bão này được đánh giá rất mạnh, có khả năng vượt cường độ so với bão Yagi năm 2024.

Vào 8h sáng 22/9, ảnh vệ tinh cho thấy "con mắt khổng lồ" đường kính hơn 70km của siêu bão Ragasa.

Sức gió mạnh nhất vùng gần tâm siêu bão Ragasa cấp 16–17 (184–221 km/giờ), giật trên cấp 17. Bão di chuyển theo hướng Tây Tây Bắc với tốc độ khoảng 20 km/h.

Cơn bão Rasaga đang ở phía đông đảo Lu-Dông (Philippines), dự báo đến ngày 23/9 sẽ đi vào Biển Đông với sức gió cấp 16-17, giật cấp 17.

Siêu bão Ragasa đang cách đảo Luzon khoảng 350 km về phía đông, sức gió mạnh nhất 221 km/h, cấp 16-17, di chuyển theo hướng tây bắc với tốc độ 15-20 km/h.

Dự báo khoảng tối ngày 22/9 siêu bão Ragasa sẽ di chuyển vào Biển Đông và trở thành cơn bão thứ 9 trên Biển Đông. Sau đó, bão di chuyển nhanh, khoảng 20 km/giờ, cường độ bão cực đại có thể đạt cấp 16 - 17, giật trên cấp 17 trong ngày 22 - 23/9 khi còn trên Biển Đông.

Cơ quan khí tượng thủy văn Philippines cho biết, sáng nay (21/9), bão nhiệt đới Ragasa đã mạnh lên thành siêu bão, với tốc độ gió 185 km/h và giật lên tới 230 km/h.

Bão Ragasa dự báo sẽ mạnh lên thành siêu bão với gió mạnh cấp 16, giật trên cấp 17 khi tiến vào Biển Đông ngày 23/9