Ngày 31/10, Đài Loan (Trung Quốc) thông báo cho công nhân viên chức nghỉ làm, trường học và thị trường tài chính đóng cửa tránh bão.
298 chuyến bay quốc tế đã bị hủy, cùng với tất cả các chuyến bay nội địa và 139 dịch vụ phà đến và đi từ các đảo xa. Tuyến đường sắt cao tốc của Đài Loan, kết nối các thành phố lớn trên vùng đồng bằng phía tây đông dân, vẫn tiếp tục hoạt động với dịch vụ giảm đáng kể. Người dân được cảnh báo tránh xa vùng núi và bờ biển.
Taiwan Semiconductor Manufacturing Co, nhà sản xuất chip theo hợp đồng lớn nhất thế giới và là nhà cung cấp chính cho các công ty như Apple và Nvidia, cho biết đã kích hoạt các quy trình chuẩn bị cảnh báo bão thường lệ tại tất cả các nhà máy và công trường xây dựng của mình.

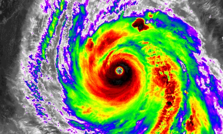
Hình ảnh mắt bão Kong-rey.
Tính đến 8h ngày 31/10 (theo giờ địa phương), vị trí tâm bão Kong-rey ở khoảng 21,7 độ Vĩ Bắc - 122,3 độ Kinh Đông, cách Itbayat, Batanes khoảng 110km về phía Đông Bắc.
Siêu bão di chuyển theo hướng Tây, với tốc độ khoảng 20km/h. Sức gió mạnh nhất vùng gần tâm bão duy trì ở mức 195km/h, tốc độ gió giật lên tới 240km/h.
Chuyên gia dự báo thời tiết Nathaniel Servando của PAGASA cho biết: "Siêu bão Kong-rey sẽ đạt đến cường độ cực đại khi đi qua gần tỉnh Batanes. Tuy nhiên, kịch bản đổ bộ thẳng vào tỉnh này đang ngày càng ít có khả năng xảy ra hơn".
Siêu bão Kong-rey dự kiến sẽ di chuyển về phía Tây Bắc qua vùng biển Cực Bắc Luzon cho đến khi đổ bộ vào bờ biển phía Đông Đài Loan (Trung Quốc) vào chiều nay (31/10).
Sau khi băng qua vùng đất liền Đài Loan (Trung Quốc), siêu bão Kong-rey sẽ chuyển hướng Đông Bắc qua Eo biển Đài Loan (Trung Quốc), hướng tới Biển Hoa Đông và ra khỏi Khu vực trách nhiệm của Philippines (PAR) vào đêm nay (31/10) hoặc sáng sớm ngày mai (1/11). Không loại trừ khả năng bão đổ bộ vào Trung Quốc đại lục trong thời gian này.
Dự báo bão Kong-rey sẽ quét qua Trung Quốc đại lục dọc theo bờ biển tỉnh Phúc Kiến vào sáng 1/11.

Hình ảnh sóng lớn được ghi nhận ở vùng biển Đài Loan (Trung Quốc) ngày 31/10. Ảnh: Newsweek
Nhà khí tượng học Noah Bergren của đài truyền hình WOFL ở Orlando, Florida (Mỹ) đã bình luận về kích thước của mắt bão Kong-rey, cho biết nó là một trong những mắt bão lớn nhất lịch sử thế giới.
"Siêu bão Kong-rey chắc chắn là một trong những mắt bão lớn nhất với một hệ thống nhiệt đới lớn mà bạn từng thấy trên Trái Đất", Bergren đăng trên X. "Nó thực sự rất lớn".
Chuyên gia dự báo thời tiết Gene Huang cho biết sau khi đổ bộ vào bờ biển phía đông, cơn bão sẽ hướng về eo biển Đài Loan khi đã suy yếu đáng kể và kêu gọi người dân trên khắp hòn đảo ở nhà do nguy cơ gió lớn.
Theo cơ quan quản lý, lượng mưa dự kiến lên tới 1,2 mét ở miền đông Đài Loan cùng với gió mạnh gây thiệt hại dọc theo các khu vực ven biển.
36.000 quân đã được điều động để hỗ trợ công tác cứu hộ trong khi 8.600 người đã được sơ tán khỏi các khu vực có nguy cơ cao trước thời hạn.










