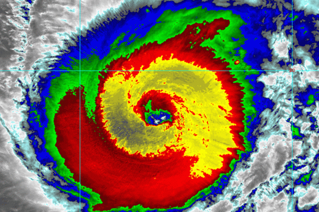
Theo Trung tâm Dự báo khí tượng thủy văn quốc gia, vào lúc 1h ngày 25/9, vị trí tâm bão Noru ở khoảng 15,1 độ Vĩ Bắc; 124,7 độ Kinh Đông, cách đảo Luzon (Philippines) khoảng 360km về phía Đông. Sức gió mạnh nhất vùng gần tâm bão mạnh cấp 13 (134-149 km/h), giật cấp 16.
Dự báo trong 24 giờ tới, bão di chuyển chủ yếu theo hướng Tây Tây Bắc, mỗi giờ đi được 20-25 km, đi vào Biển Đông.
Đến 1h ngày 26/9, vị trí tâm bão ở khoảng 15,6 độ Vĩ Bắc; 119,6 độ Kinh Đông, cách quần đảo Hoàng Sa khoảng 890km về phía Đông. Sức gió mạnh nhất vùng gần tâm bão mạnh cấp 11 (103-117 km/h), giật cấp 14.
Vùng nguy hiểm trên Biển Đông trong 24 giờ tới (gió mạnh từ cấp 6 trở lên, giật từ cấp 8 trở lên): từ vĩ tuyến 13 đến 19 độ Vĩ Bắc; phía Đông kinh tuyến 116,5 độ Kinh Đông. Toàn bộ tàu thuyền hoạt động trong vùng nguy hiểm đều có nguy cơ cao chịu tác động của gió mạnh, sóng lớn và lốc xoáy. Cấp độ rủi ro thiên tai: cấp 3.

Trong 24 đến 48 giờ tiếp theo, bão di chuyển theo hướng Tây Tây Bắc, mỗi giờ đi được 20km và đi vào Biển Đông. Đến 13 giờ ngày 26/9, vị trí tâm bão ở khoảng 16,5 độ Vĩ Bắc; 117,2 độ Kinh Đông, trên vùng biển phía Đông khu vực Bắc Biển Đông, cách quần đảo Hoàng Sa khoảng 530km về phía Đông. Sức gió mạnh nhất vùng gần tâm bão mạnh cấp 11 (103-117km/giờ), giật cấp 14.
Vùng nguy hiểm trên biển trong 24 đến 48 giờ tới (gió mạnh từ cấp 6 trở lên, giật từ cấp 8 trở lên): từ vĩ tuyến 13,5 đến 19,0 độ Vĩ Bắc; phía Đông kinh tuyến 114,5 độ Kinh Đông. Toàn bộ tàu thuyền hoạt động trong vùng nguy hiểm đều có nguy cơ cao chịu tác động của gió mạnh, sóng lớn và lốc xoáy. Cấp độ rủi ro thiên tai: cấp 3.
Trong 48 đến 72 giờ tiếp theo, bão di chuyển nhanh theo hướng Tây, mỗi giờ đi được khoảng 30km, có xu hướng mạnh thêm. Đến 13 giờ ngày 27/9, vị trí tâm bão ở khoảng 16,2 độ Vĩ Bắc; 110,6 độ Kinh Đông, cách Thừa Thiên Huế-Quảng Nam khoảng 220km về phía Đông.
Sức gió mạnh nhất vùng gần tâm bão mạnh cấp 12-13 (118-149km/giờ), giật cấp 16. Trong 72 đến 120 giờ, bão tiếp tục di chuyển nhanh chủ yếu theo hướng Tây với tốc độ 20-25km/h, cường độ suy yếu dần và ảnh hưởng đến khu vực Trung Bộ.
Sáng 25/9, vịnh Bắc Bộ, khu vực giữa Biển Đông, vùng biển từ Quảng Trị đến Khánh Hòa có mưa rào và dông.
Ngày và đêm 25/9, vịnh Bắc Bộ, khu vực giữa và Nam Biển Đông (bao gồm vùng biển quần đảo Trường Sa), vùng biển từ Quảng Trị đến Cà Mau, Cà Mau đến Kiên Giang và vịnh Thái Lan có mưa rào và dông; trong mưa dông có khả năng xảy ra lốc xoáy và gió giật mạnh cấp 7-8.
Vùng biển phía Đông của khu vực Bắc Biển Đông có gió Đông Bắc mạnh cấp 5, có lúc cấp 6, giật cấp 7-8; sóng biển cao từ 2-4 m; biển động.
Từ chiều 25/9, do ảnh hưởng của bão Noru, vùng biển phía Đông khu vực Bắc và giữa Biển Đông có gió mạnh dần lên cấp 6-7, sau tăng lên cấp 8-9, vùng gần tâm bão đi qua mạnh cấp 10-11, giật cấp 14; sóng biển cao từ 5-7m; biển động dữ dội.
Mưa dông ở các vùng biển trên có khả năng duy trì trong những ngày tới. Gió trên khu vực Bắc và giữa Biển Đông tiếp tục có xu hướng hoạt động mạnh dần lên.
Bích Thảo(T/h)









