
Dự báo Biển Đông sắp đón bão 16, nguy cơ gây ra đợt mưa to từ Huế đến Khánh Hòa
Khả năng sẽ còn xuất hiện cơn bão số 16 trong năm 2025 gây ra một đợt mưa vừa, mưa to ở các tỉnh từ Huế trở vào đến khu vực Khánh Hòa.

Khả năng sẽ còn xuất hiện cơn bão số 16 trong năm 2025 gây ra một đợt mưa vừa, mưa to ở các tỉnh từ Huế trở vào đến khu vực Khánh Hòa.

Tính đến 4h ngày 1/12, sức gió mạnh nhất vùng gần tâm bão mạnh cấp 8 (62-74km/h), giật cấp 10. Ít dịch chuyển.

Hồi 13h ngày 29/11, vị trí tâm bão ở vào khoảng 13,7 độ Vĩ Bắc; 112,3 độ Kinh Đông, trên vùng biển phía Tây Bắc khu vực giữa Biển Đông.

Bão Koto gần như ít di chuyển và đang chịu tác động của không khí lạnh nên sẽ giảm cường độ, dự báo suy yếu trước khi vào đất liền.

Theo Trung tâm Dự báo khí tượng thủy văn quốc gia, vào 19h ngày 27/11, vị trí tâm bão ở 13,1 độ vĩ bắc, 113,2 độ kinh đông, cách đảo Song Tử Tây khoảng 220km.

Khi siêu bão Fung Wong đổ bộ, cây cầu treo biểu tượng bắc qua sông Bicol ở khu San Jose, thuộc vùng thành phố Camaligan, bị chao đảo, rung lắc dữ dội.

Dự báo từ 72 đến 96 giờ tiếp theo, bão di chuyển theo Đông Bắc, mỗi giờ đi được khoảng 25km và cường độ tiếp tục suy yếu thêm.

Bão Fung-wong di chuyển theo hướng tây tây bắc với vận tốc 25km/h, kèm theo sức gió duy trì tối đa 185km/h vùng gần tâm bão, giật tới 230km/h.

Cơ quan Khí tượng, Địa vật lý và Thiên văn Philippines (PAGASA) cho biết họ dự đoán Fung-wong sẽ mạnh lên thành siêu bão vào ngày 8/11.

Ngày 7/11, sau đêm mưa lớn do ảnh hưởng của bão Kalmaegi (bão số 13) khiến triều cường dâng cao, sóng đánh tràn bờ, gây bật gốc hàng loạt cây dừa ven biển Đà Nẵng.

Bão Kalmaegi đổ bộ khu vực ven biển Quy Nhơn, tỉnh Gia Lai vào tối 6/11 gây sóng biển lớn, gió mạnh quật gãy cây cối, nhà cửa tốc mái, vỡ kính.

Tổng thống Philippines Ferdinand Romualdez Marcos tuyên bố tình trạng thảm họa quốc gia, sau khi siêu bão Kalmaegi gây ra thiệt hại nghiêm trọng trên diện rộng.

Tin bão số 13 Kalmaegi: Dự báo, trong 3 giờ tới, bão số 13 Kalmaegi di chuyển chủ yếu theo hướng Tây, tốc độ khoảng 25km/h.

Cảnh tượng tan hoang tại Philippines sau khi bão Kalmaegi đi qua khiến nhiều người không khỏi xót xa.

Bão cuồng phong Kalmaegi đổ bộ vào Philippines, càn quét trên diện rộng, gây ra thiệt hại nặng nề cho quốc gia này.

Bão Kalmaegi kết hợp dải hội tụ nhiệt đới đã gây mưa lớn từ 50-200 mm trên diện rộng, kéo theo lũ quét và sạt lở đất ở nhiều nơi.

Dự báo rạng sáng 5/11, bão Kalmaegi đi vào Biển Đông và là cơn bão số 13 trong năm với cường độ cấp 13, sau đó đạt cực đại cấp 14.

Hồi 07 giờ ngày 03/11, vị trí tâm bão KALMAEGI ở vào khoảng 10,7 độ Vĩ Bắc; 129,0 độ Kinh Đông, trên vùng biển phía Đông miền Trung Phi-líp-pin.

Trong 24 giờ tới, lũ trên sông Hương được dự báo vượt mức báo động 3, gây ngập lụt diện rộng tại nhiều khu vực trung tâm TP Huế và vùng ven.

Theo cập nhật mới nhất, sức gió mạnh nhất vùng gần tâm bão KALMAEGI mạnh cấp 9 (75-88km/giờ), giật cấp 11. Di chuyển theo hướng Tây với tốc độ nhanh khoảng 25km/h.

Melissa, cơn bão mạnh nhất hành tinh 2025 đã đổ bộ Jamaica ở cấp mạnh nhất, gây thiệt hại nghiêm trọng.

Siêu bão cấp 5 Melissa đổ bộ Jamaica tàn phá nghiêm trọng nhà cửa, nông nghiệp, hệ thống điện và làm sập mái một phần sân bay quốc tế Sangster.

Nhiều khu dân cư bị nhấn chìm trong biển nước sau khi siêu bão Melissa đổ bộ Jamaica, trong khi chính quyền địa phương cảnh báo người dân cảnh giác với nguy cơ cá sấu tấn công

Theo Liên đoàn Chữ thập đỏ quốc tế (IFRC), khoảng 1,5 triệu người tại Jamaica sẽ bị ảnh hưởng trực tiếp bởi bão Melissa.

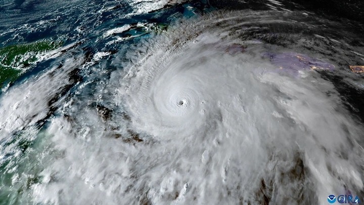
Siêu bão Melissa đã chính thức trở thành cơn bão mạnh nhất thế giới 2025, với sức gió duy trì tối đa lên đến 281 km/h.

Cơn bão cấp 5 Melissa với sức gió 282 km/giờ được dự báo sẽ gây thiệt hại nghiêm trọng cho Jamaica và các vùng lân cận khi di chuyển chậm qua biển Caribe.

Dự báo từ đêm 22/10 đến ngày 26/10, hoàn lưu bão Fengshen kết hợp với không khí lạnh gây mưa rất lớn cho Hà Tĩnh - Quảng Ngãi.

Bão Fengshen giật cấp 10, dự báo vào Biển Đông chiều tối nay (19/10). Dự báo, bão Fengshen trở thành cơn bão số 12 trong năm.

Trong khoảng ngày 20-22/10, khu vực Bắc Biển Đông (bao gồm đặc khu Hoàng Sa) có khả năng chịu tác động của gió mạnh cấp 10-11, giật cấp 13.

Tin bão số 11 Matmo mới nhất: Bão cách Quảng Ninh khoảng 190km về phía Đông Đông Nam. Sức gió mạnh nhất giật cấp 15.