
Video: Bố bắt 2 con đứng co ro tạo dáng chụp ảnh trong siêu bão Mangkhut
Đoạn video ghi lại cảnh 1 người bố ở Hong Kong bắt 2 con đứng trong bão với gió mạnh 225km/h để chụp ảnh gây phẫn nộ.

Đoạn video ghi lại cảnh 1 người bố ở Hong Kong bắt 2 con đứng trong bão với gió mạnh 225km/h để chụp ảnh gây phẫn nộ.

Siêu bão Mangkhut- cơn bão số 6 sau khi đi vào tỉnh Quảng Tây (Trung Quốc) đã suy yếu thành áp thấp nhiệt đới.

Do ảnh hưởng của hoàn lưu phía Tây Nam bão số 6, ở Quảng Ninh, Lạng Sơn có gió mạnh cấp 6, giật cấp 8.

Đoạn video ghi lại khoảnh khắc một trục thang máy 22 tầng ở Hồng Kông bị siêu bão Mangkhut quật đổ.

Đoạn video ghi lại cảnh siêu bão Mangkhut đổ bộ, quật ngã 2 cha con ở Hong Kong.

Siêu bão MANGKHUT- cơn bão số 6 ban đầu được dự báo sẽ ảnh hưởng trực tiếp đến miền Bắc Việt Nam.

Khoảnh khắc siêu bão Mangkhut đổ bộ vào Philippines và Hong Kong khiến không ít người liên tưởng đến "ngày tận thế" trong những bộ phim viễn tưởng.

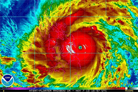
Siêu bão mạnh khủng khiếp như Mangkhut sẽ xuất hiện với tần suất dày đặc hơn trong những năm tới do tình trạng biến đổi khí hậu.

Siêu bão Mangkhut đổ bộ vào Philippines mang theo gió mạnh và mưa lớn, hàng triệu người có thể đang gặp nguy hiểm do lũ lụt và sạt lở đất.

Để đảm bảo an toàn, các địa phương ven biển phía bắc dự kiến cấm biển, kể cả tàu vận tải và du lịch trước 10h ngày 16/9.

Cục trưởng Cục Quản lý đường bộ I (Tổng cục Đường bộ việt Nam) cho biết, trước khả năng siêu bão Mangkhut có thể đổ bộ vào các tỉnh ven biển Bắc Bộ trong những ngày tới.

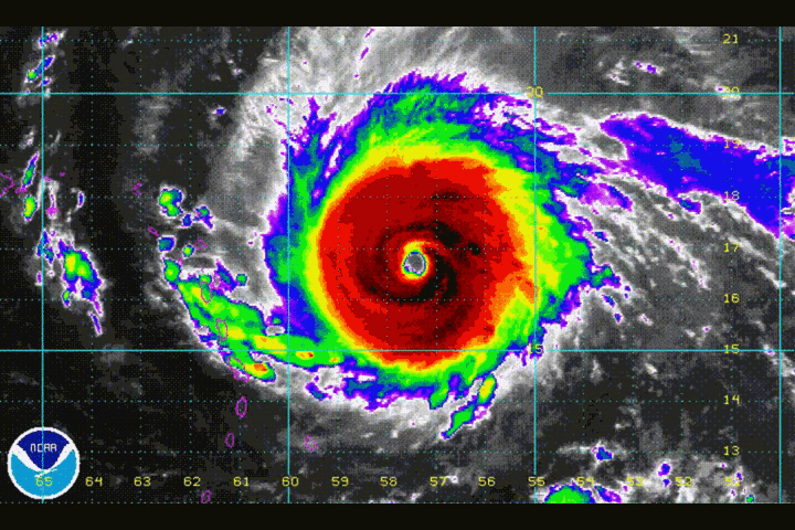
Trưa mai (15/9), siêu bão MANGKHUT giật trên cấp 17 sẽ đi vào khu vực Đông Bắc của Biển Đông. Cơn siêu bão này có phạm vi gió mạnh cấp 10 trở lên khoảng 200km,

Siêu bão Mangkhut dự kiến sẽ đổ bộ vào đảo Luzon, miền bắc Philippines vào cuối tuần này. Sức gió mạnh nhất gần tâm siêu bão mạnh cấp 17 (200-220 km/h), giật trên cấp 17.

Hiện nay siêu bão MangKhut trên vùng biển Tây Bắc Thái Bình Dương mạnh lên cấp 17, đang lao nhanh về phía Đông Đông Bắc, dự báo tiếp cận Biển Đông vào chiều 15/9.

Siêu bão MANGKHUT được dự báo sẽ vào Biển Đông vào sáng sớm ngày 15/9 và giảm xuống còn cấp 14-15, nhưng gió vẫn giật rất mạnh cấp 16-17.

Bão số 5 sau khi vào phía Bắc Lôi Châu (Trung Quốc) đã suy yếu thành áp thấp nhiệt đới. Trong khi đó, siêu bão MANGKHUT giật trên cấp 17 đang di chuyển nhanh về Biển Đông

Bão số 10 mỗi giờ đi được khoảng 20km, hướng vào khu vực tỉnh Quảng Ninh-Nam Định. Trong khi đó, siêu bão MANGKHUT mạnh cấp 17 sẽ vào Biển Đông trong khoảng 3 ngày tới.

Bão Mangkhut đã mạnh lên thành siêu bão, gió giật cấp 16 và hướng thẳng vào khu vực Biển Đông, nơi có bão số 5 – BARIJAT đang hoạt động.

Siêu bão MANGKHUT giật cấp 16 đang "đuổi theo" bão số 5 vào Biển Đông. Dự báo khoảng 4 ngày nữa, siêu bão MANGKHUT sẽ vào khu vực Bắc Biển Đông.

Trong khi bão số 5 giật cấp 10 đang quần thảo Biển Đông thì một cơn bão rất mạnh có thể đạt cấp siêu bão là bão MANGKHUT cũng đang hướng vào Biển Đông.