
Bão số 7 Tapah mạnh lên cấp 10-11, tâm bão đang ở đâu?
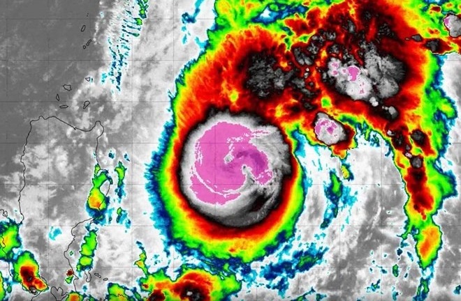
Lúc 4h hôm nay (8/9), tâm bão số 7 Tapah trên vùng biển tây bắc của Bắc Biển Đông, sức gió mạnh nhất 117 km/h, cấp 10-11, giật cấp 13.

Lúc 4h hôm nay (8/9), tâm bão số 7 Tapah trên vùng biển tây bắc của Bắc Biển Đông, sức gió mạnh nhất 117 km/h, cấp 10-11, giật cấp 13.

Trên Biển Đông, cơn bão số 7 đang hoạt động mạnh khiến gió giật và sóng lớn, biển động dữ dội.

Dự báo từ ngày 9 đến 10/9, trung du và miền núi Bắc Bộ mưa to do hoàn lưu sau bão số 7, có nơi mưa trên 300mm.

Mặc dù không chịu ảnh hưởng trực tiếp của hoàn lưu bão, nhưng các khu vực ở vịnh Bắc Bộ, vùng ven biển phía Đông của Bắc Bộ có thể xuất hiện dông, lốc.

Cơn bão số 7 đã hình thành từ áp thấp nhiệt đới, gây ra gió mạnh, sóng lớn và mưa dông trên các vùng biển.

Chiều nay 6/9, áp thấp nhiệt đới trên vùng biển phía đông khu vực bắc Biển Đông đã mạnh lên thành bão số 7.

Lúc 19h ngày 5/9, vị trí tâm áp thấp nhiệt đới đang ở trên khu vực phía đông của bắc Biển Đông.

Dự báo đến 4h ngày 12/11, bão số 7 sẽ di chuyển theo hướng Tây Nam với tốc độ 15-20km/h, suy yếu thành áp thấp nhiệt đới.

Thời tiết hôm nay ngày 11/11/2024 mới nhất. Cập nhật tin tức thời tiết hôm nay, dự báo thời tiết ngày 11/11/2024 trên Đời sống & Pháp luật.

Dự báo đến chiều 12/11, bão số 7 Yinxing vào đất liền các tỉnh Quảng Nam đến Bình Định, di chuyển theo hướng Tây Nam với tốc độ khoảng 15km/h.

Cơn bão số 7 vẫn đang có sức gió mạnh nhất vùng gần tâm bão mạnh cấp 14, giật cấp 17. Tuy nhiên, theo dự báo trong hôm nay, cơn bão này sẽ suy yếu dần.

Trong 48 giờ tới bão số 7(bão Yinxing) sẽ mạnh nhất và sau đó giảm dần do gặp những yếu tố không thuận lợi về không khí, bề mặt, độ ẩm.

Cơn bão số 7- bão Yinxing với sức gió mạnh nhất vùng gần tâm bão mạnh cấp 14, giật cấp 17 đang "quần thảo" trên biển Đông.

Phó Thủ tướng Trần Hồng Hà vừa ký Công điện số 114/CĐ-TTg của Thủ tướng Chính phủ yêu cầu các Bộ ngành, địa phương liên quan chủ động ứng phó bão số 7 - bão YINXIN.

Sáng sớm nay (8/11), bão Yinxing đã đi vào vùng biển phía Đông của khu vực Bắc Biển Đông, trở thành cơn bão số 7 trong năm 2024.

Cơn bão YINXING đang giật cấp 16, hoạt động trên vùng biển phía Đông Bắc đảo Lu Dông (Philippin).

Nhật Bản, Hong Kong (Trung Quốc) và Philipines đều nhận định cường độ bão Yinxing mạnh cấp 13, giật cấp 15-16 và đang hướng về Biển Đông.

Cơ quan khí tượng của Mỹ và Nhật Bản đều dự báo, bão Yinxing sẽ vào biển Đông vào cuối tuần này, trở thành cơn bão số 7 trong năm 2024.

Philippines ban bố tình trạng thiên tai đối với 4 khu vực bị ảnh hưởng do cơn bão Nalgae ở nước này, số nạn nhân tử vong đã tăng lên 110 người.

Dự báo trong khoảng 24 đến 60 giờ tới, bão số 7 tiếp tục di chuyển hướng về vùng biển tỉnh Quảng Đông (Trung Quốc) và suy yếu thành áp thấp nhiệt đới.

Cơn bão số 7 giật cấp 14 đang cách quần đảo Hoàng Sa khoảng 550km về phía Đông Bắc. Bão số 7 di chuyển chậm và liên tục đổi hướng.

Bão số 7 tiếp tục là một cơn bão có cường độ rất mạnh trên biển nhưng suy yếu rất nhanh do tương tác với không khí lạnh, ít khả năng ảnh hưởng đến đất liền nước ta.

Vào hồi 13h ngày 31/10, vị trí tâm bão ở vào khoảng 17,0 độ Vĩ Bắc; 116,8 độ Kinh Đông, cách quần đảo Hoàng Sa khoảng 580km về phía Đông.

Bão số 7 giật cấp 12, đang cách quần đảo Hoàng Sa khoảng 590km về phía Đông. Cơn bão số 7 liên tục đổi hướng và đang di chuyển chậm.

Báo số 7 được dự báo sẽ tăng cấp nhanh và mạnh trước khi tương tác với không khí lạnh rồi suy yếu.

Cơn bão Nalgae đã đi vào Biển Đông với sức gió mạnh nhất vùng gần tâm mạnh cấp 10 (89-102 km/giờ), giật cấp 12 vào sáng ngày 30/10.

Bão Nalgae đã vào Biển Đông và trở thành cơn bão số 7 trong năm 2022, cơn bão duy trì sức gió mạnh nhất cấp 10, giật cấp 12.

Bão Nalgae là cơn bão thứ 22 hoạt động trên khu vực Tây Bắc Thái Bình Dương từ đầu năm 2022, hướng di chuyển sau khi vào biển Đông còn nhiều biến động.

Trung tâm Dự báo khí tượng thủy văn quốc gia dự đoán áp thấp nhiệt đới dự báo sẽ đi vào Biển Đông và có khả năng mạnh dần lên thành bão số 7.

Theo ghi nhận của PV, nhiều tuyến đường ở ngoại thành Hà Nội đã rơi vào tình trạng ngập sâu bởi cơn mưa kéo dài.