
Ứng cứu kịp thời 8 ngư dân gặp nạn ở Trường Sa chạy bão Hagupit
(ĐSPL) - Tàu cá PY 96021 có 8 ngư dân do ông Huỳnh Tâm (TP. Tuy Hòa, Phú Yên) trên đường đi tránh bão Hagupit đã bị gặp nạn, rất may đã được 3 tàu cá gần đấy ứng cứu.

(ĐSPL) - Tàu cá PY 96021 có 8 ngư dân do ông Huỳnh Tâm (TP. Tuy Hòa, Phú Yên) trên đường đi tránh bão Hagupit đã bị gặp nạn, rất may đã được 3 tàu cá gần đấy ứng cứu.

(ĐSPL) - Theo dự báo, khi đi vào biển Đông, bão Hagupit đã giảm đi 7 cấp so với khi bão còn ở ngoài khơi Thái Bình Dương (cấp 16).

(ĐSPL) – Theo tin tức từ CNN, bão Hagupit kèm theo gió mạnh và những cơn mưa lớn đã quét qua miền trung Philippines ngày 7/12. Hàng trăm nghìn người dân phải sơ tán.

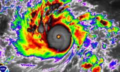
Sức gió mạnh nhất ở vùng gần tâm bão mạnh cấp 16 (tức là từ 184 đến 201km một giờ), giật trên cấp 17.

(ĐSPL) - 80\% siêu bão Hagupit có sức gió giật tới trên cấp 17 sẽ đổ bộ vào Biển Đông, có khả năng tiến thẳng vào bờ biển Nam Trung bộ nước ta.

(ĐSPL) - Với tốc độ di chuyển nhanh và cường độ mạnh, cơn bão Hagupit chỉ 3 ngày đã phát triển thành siêu bão và có khả năng lớn sẽ vào biển Đông.

(ĐSPL) - Theo các chuyên gia khí tượng đánh giá, bão Hagupit có sức công phá ngang với siêu bão Haiyan.

(ĐSPL) - Philippines đang sơ tán người dân sống ở thành phố Tacloban nằm trên đường đi của siêu bão Hagupit, cơn bão được dự đoán mạnh nhất năm 2014.

(ĐSPL) - Người dân trên khắp Philippines, bao gồm cả thủ đô Manila đã gấp rút mua hàng tích trữ đề phòng siêu bão Hagupit có thể đổ bộ vào miền trung nước này.

Tin bão trên biển Đông: "bão Hagupit có tốc độ di chuyển nhanh với vận tốc đạt 25 - 30km/giờ. Dự báo, trong khoảng ngày 6/12 tới, siêu bão này có thể đi vào Biển Đông."

(ĐSPL) - Một siêu bão có tên quốc tế là Hagupit đang hoạt động trên vùng biển ngoài khơi xa phía Đông Philippines và có khả năng sẽ tiến vào biển Đông

(ĐSPL) – Siêu bão Hagupit với sức gió giật mạnh lên tới 230 km/h dự kiến sẽ đổ bộ vào miền trung Philippines vào ngày 6/12.