Khoảng 30.000 người dân đã được yêu cầu sơ tán và có thể sẽ trở thành đợt di tản lớn nhất Australia kể từ cơn bão Tracy năm 1974.
Theo Reuters, đây có thể là đợt sơ tán lớn nhất Australia kể từ cơn bão Tracy năm 1974. Ảnh: Getty. |
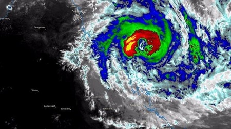
Sáng 28/3, trận siêu bão nhiệt đới Debbie đã bắt đầu đổ bộ dọc theo phía bắc bờ biển bang Queensland, Đông Bắc Úc, báo Tuổi Trẻ đưa tin.
Theo Cục khí tượng Úc (BoM), trong 24 giờ tới, bão Debbie được xếp vào mức bão cấp bốn. Bước đầu bão kéo theo mưa xối xả đã làm tốc mái nhiều căn nhà ở khu vực quần đảo Whitsunday - một điểm du lịch nổi tiếng ở bờ biển bang Qeensland.
Theo Trí Thức Trẻ, gió mạnh và mưa lớn "quần thảo" vùng duyên hải đông bắc Australia do ảnh hưởng của bão Debbie. Bão có sức gió hơn 263 km/h, đạt cấp 4 theo thang đo của Australia.
Nó sẽ hoành hành tại bang Qeensland, nhất là ở khu vực Mackay với sức gió được dự báo lên tới 300km/h, sóng biển dâng cao hơn 2 m. Cục khí tượng Úc cho biết mắt bão sẽ chạy dọc vùng bờ biển Úc chiều nay sẽ gây ra tình trạng lở đất trên diện rộng.
Bão dự kiến đổ bộ vào đất liền lúc 14h ngày 28/3 (giờ địa phương) với sức gió có thể tăng từ cấp 4 lên cấp 5. Đồ họa: Cục Khí tượng Australia. |
Người dân thị trấn Bowen, thuộc phía nam của thành phố Townsville, chuẩn bị bao cát phòng ngừa nước ngập từ ngày 27-3 - Ảnh: Reuters |
Thị trưởng hội đồng vùng Whitsunday, ông Andrew Willcox, khẳng định với hãng tin AFP rằng chính quyền đã nhận được 98 lời kêu gọi hỗ trợ. Theo ông hiện có 10.000 căn nhà bị mất điện.
Chỉ huy trưởng Lực lượng cứu hỏa và dịch vụ khẩn cấp (QFES) của bang Queensland, bà Katarina Carroll cho biết đã có thông báo một người thiệt mạng do cơn bão này, đồng thời cảnh báo rằng thiệt hại có thể sẽ còn tiếp tục tăng khi bão Debbie được ghi nhận mạnh nhất vào chiều nay.
Tối 27/3, Thủ hiến bang Queensland, bà Annastacia Palaszczuk cảnh báo đây sẽ là cơn bão mạnh nhất kể từ năm 2011, đồng thời ra lệnh các lực lượng khẩn cấp sẵn sàng ứng phó, theo đó yêu cầu 25.000 người sống ở các vùng thấp tại Mackay khẩn trương sơ tán.
(Tổng hợp)













