(ĐPSL) - Cách đây đúng một năm, chuyến bay MH370 của Malaysia Airlines đã mất tích mà cho đến nay vẫn chưa có lời giải. Công tác tìm kiếm chiếc máy bay xấu số này đã giúp các nhà khoa học khám phá những bí ẩn chưa từng biết dưới đáy đại dương.
Vụ mất tích bí ẩn
2 giờ 40 phút ngày 8/3/2014, chiếc máy bay mang số hiệu MH370 của Malaysia Airlines cất cánh từ thủ đô Kuala Lumpur đến Bắc Kinh, Trung Quốc thì đột ngột mất liên lạc với đài kiểm soát không lưu.
 MH370 mất tích là bí ẩn lớn nhất lịch sử ngành hàng không thế giới.
|
|
Trên máy bay có 12 thành viên phi hành đoàn và 227 hành khách, gồm 153 người Trung Quốc, 38 người Malaysia, 12 người Indonesia, 7 người Úc, 4 người Mỹ, 2 người Canada, 2 người New Zealand, 2 người Ukraine và một số người từ các nước khác.
Một chiến dịch tìm kiếm quốc tế quy mô lớn cũng đã được phát động với sự vào cuộc tích cực của các nước trong khu vực, đặc biệt là Việt Nam, Trung Quốc, Úc, Indonesia và Malaysia. Tuy nhiên, không một dấu vết nào của chiếc máy bay mất tích được phát hiện.
Một tuần sau vụ mất tích, Thủ tướng Malaysia Najib Razak xác nhận MH370 đã bay thêm ít nhất 7 giờ nữa tính từ thời điểm mất tín hiệu với mặt đất. Nhiều khả năng phi hành đoàn hoặc một phi công dày dạn kinh nghiệm, nắm rõ các vị trí radar đã cố tình chuyển hướng bay về phía Ấn Độ Dương.
Ngày 29/1/2015, Malaysia chính thức tuyên bố vụ MH370 đã gặp tai nạn và toàn bộ 239 người trên chuyến bay đã thiệt mạng. Nhiều thân nhân hành khách cho đến nay vẫn không tin đây là sự thật và vẫn hy vọng vào một điều kỳ diệu có thể xảy ra.
Theo thống kê, chiến dịch tìm kiếm máy bay MH-370 tiêu tốn nguồn lực tốn kém nhất trong lịch sử. Kể từ khi bắt đầu đến nay, Úc đã chi khoảng 93 triệu USD, đồng thời huy động nhiều tàu và trực thăng tham gia.
Do tiêu tốn quá nhiều nguồn lực trong khi lại không có kết quả, nên chính phủ các nước đang cân nhắc ngừng hẳn các hoạt động tìm kiếm. Phó Thủ tướng Úc Warren Truss xác nhận hiện nước này đang thảo luận với Malaysia và Trung Quốc về khả năng chấm dứt chiến dịch sau vài tuần nữa.
MH370 mở ra những bí mật dưới đáy đại dương
Dù chiếc máy bay MH370 vẫn mất tích không một dấu vết nhưng về mặt khoa học, quá trình tìm kiếm và dò xét đáy biển đã giúp các nhà khoa học khám phá nhiều điều về phần sâu thẳm của đại dương mà trước đây, các nhà khoa học chưa có cơ hội nghiên cứu.
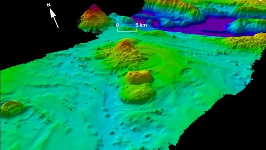
 Phác họa đáy biển Ấn Độ Dương, nơi máy bay MH370 mất tích.
|
|
Công tác chụp ảnh và lập bản đồ chi tiết đã ghi nhận đáy biển Ấn Độ Dương có những ngọn núi cao 2.228 m, những hẻm núi lớn như Grand Canyon ở Mỹ và cả một rặng núi ngầm dài 34 km chưa từng được biết đến.
Nhà địa lý học Stuart Minchin đến từ Australia cho biết trước đây thông tin về vùng đáy biển này và hầu hết những vùng biển sâu thẳm khác chỉ được cung cấp chủ yếu qua hình ảnh vệ tinh để giúp các nhà khoa học có được phác thảo sơ bộ.
Trong giai đoạn tháng 6-10/2014, công ty thăm dò dưới nước Fugro đã dùng một con tàu phát sóng âm thanh sonar đa tần số để thăm dò pham vi hơn 100.000 km2. Sóng sonar sẽ phát đi một chuỗi tín hiệu có dạng cánh quạt và sẽ dội lại khi chạm vào bề mặt đáy biển. Thời gian thu nhận tín hiệu dội lại sẽ giúp các nhà khoa học xác định độ sâu đáy biển và bề mặt dội lại là cứng hay mềm.
Ông Paul Kennedy, giám đốc dự án của Fugro cho biết giai đoạn dò tìm thứ hai sẽ cung cấp những thông tin chi tiết hơn nhờ vào các thiết bị quét gắn trên một tàu ngầm không người lái. Từ tháng 11 năm ngoái, các thiết bị này đã chụp và lập bản đồ khoảng 40\% trong 30.000 km2 ưu tiên tìm kiếm.
Bằng phương pháp này, các nhà khoa học đã xác định được một số điểm mà độ sâu đáy biển sai khác đến 1,5 km so với số liệu thu thập từ ảnh vệ tinh. Tiến sĩ Minchin, trưởng khoa Địa chất môi trường ở viện Địa chất Úc, cho biết: “Chúng tôi tìm thấy những tàn tích núi lửa với đường kính 14 km và cao hơn 2.200 m. Những thông tin này trước đây hoàn toàn không thấy trong dữ liệu nghiên cứu”.
Đáng kể nhất là việc các nhà khoa học tìm ra một rặng núi ngầm dài 34 km, rộng 7 km và cao 1.500 m chưa từng được phát hiện trước đây.
Tiến sĩ Minchin nói rằng hiện trọng tâm của đội nghiên cứu vẫn là tìm kiếm MH370 nhưng những thông tin mới có được trong quá trình tìm kiếm sẽ vô cùng hữu ích cho các nhà địa lý và đại dương học trong tương lai.
Link bài gốcLấy link
https://doisongphapluat.nguoiduatin.vn/dspl/cuoc-tim-kiem-mh370-he-lo-bi-an-duoi-day-dai-duong-a86483.html