Chiều 12/4, Trung tâm Dự báo khí tượng thủy văn quốc gia quốc gia cho biết sau 2 ngày mạnh lên thành bão, đến 13h chiều nay, bão Sinlaku (cơn bão thứ 4 hoạt động trên khu vực Tây Bắc Thái Bình Dương trong năm nay) đã mạnh lên cấp 15 (xấp xỉ cấp siêu bão), giật trên cấp 17 và hiện vẫn còn cách Philippines khoảng 3.000km.
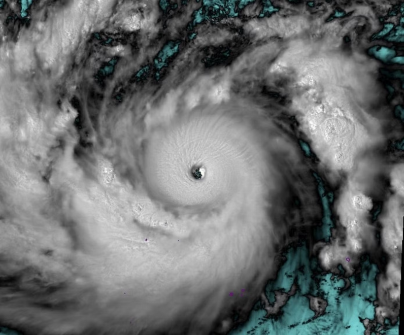
Theo phân tích từ số liệu vệ tinh, bão Sinlaku đang trong quá trình tăng cường độ nhanh, mắt bão rõ nét, vùng mây đối lưu phát triển mạnh và hoàn lưu đối xứng.
Cơ quan khí tượng nhận định các điều kiện môi trường trên vùng biển thuận lợi như nhiệt độ mặt nước biển cao, thông lượng nhiệt từ đại dương dồi dào, độ đứt gió tầng cao yếu tạo điều kiện để bão tiếp tục mạnh lên nhanh trong 24 giờ tới.
Dự báo trong 24 giờ tới, bão Sinlaku sẽ di chuyển theo hướng Tây Bắc với tốc độ khoảng 15km/h, có khả năng mạnh lên thành siêu bão và đây sẽ là siêu bão đầu tiên hoạt động trên khu vực Tây Bắc Thái Bình Dương trong mùa bão lũ năm nay và là một trong số rất ít cơn siêu bão xuất hiện ngay trong tháng 4.
Cơ quan khí tượng dự báo cường độ của siêu bão Sinlaku mạnh nhất khoảng cấp 16-17, giật trên cấp 17.

Hình ảnh bão Sinlaku chụp từ vệ tinh chiều 12/4.
Về quỹ đạo, sau khi đạt cường độ cực đại, siêu bão Sinlaku sẽ đổi hướng di chuyển lên phía Bắc. Khoảng ngày 16-17/4, bão tiếp tục chuyển hướng Bắc Đông Bắc, đi về phía vùng biển phía Đông của Nhật Bản và suy yếu dần.
Hiện tại, các dự báo bão đều cho thấy bão sẽ không có khả năng đi vào khu vực Biển Đông. Trung tâm Dự báo khí tượng thủy văn quốc gia vẫn đang theo dõi sát diễn biến của siêu bão đầu mùa này.
Trước đó, Việt Nam trải qua năm 2025 với thiên tai vô cùng dị thường và khốc liệt. Biển Đông ghi nhận số lượng bão/áp thấp nhiệt đới kỷ lục khi có 21 cơn bão/áp thấp nhiệt đới (ATNĐ) hoạt động, trở thành năm có số lượng bão/ATNĐ hoạt động nhiều nhất kể từ khi có số liệu quan trắc (năm 1961), vượt qua kỷ lục thiết lập vào năm 2017.
Bên cạnh số lượng kỷ lục, mùa bão 2025 còn ghi nhận một số tính chất đặc biệt, bất thường và cực đoan như cơn bão số 1 (WUTIP) là cơn bão đầu tiên xuất hiện trên Biển Đông trong tháng 6 sau hơn 40 năm. Cơn bão số 9 (RAGASA) với cường độ mạnh cấp 17, giật trên cấp 17 đã trở thành cơn bão mạnh nhất từng hoạt động trên khu vực Biển Đông.
Lần đầu tiên ghi nhận một áp thấp nhiệt đới di chuyển ngược từ Ấn Độ Dương sang khu vực Tây Bắc Thái Bình Dương (trong quá khứ đã từng có áp thấp nhiệt đới hoặc bão đi từ Tây Thái Bình Dương sang Ấn Độ Dương, nhưng chiều ngược lại thì chưa từng ghi nhận).
Theo các chuyên gia, mùa bão năm 2025 phản ánh xu hướng thời tiết ngày càng cực đoan, khó lường do tác động của biến đổi khí hậu, theo Tiền Phong.










